作者:admin发布时间:2009-08-03 17:38浏览:
次
有下颌脂肪袋的中青年、且皮肤弹性好者。
2. 禁忌症
1、颌颈部皮肤过于松弛者。
2、有心脑血管疾病、肝脏疾病、糖尿病、凝血功能异常、面颈部功能受损者。
3、长期或正在服用抗凝药物、扩血管药、皮质类激素等药物者。
4、面颈部局部皮肤有感染灶者。
5、有心理障碍、期望值过高以及对面颈部轮廓要求过于苛刻者。
6、月经期和哺乳期妇女。
3. 术前准备
1、双下颌脂肪抽吸术技术难度较高,需找正规医院或机构进行治疗。
2、手术前确定身体健康,无传染病或其他身体炎症。
3、颌颈部脂肪过多者应分多次抽吸脂肪才能达到一定效果。
4、术前不要化妆。
5、男性要提前戒烟一周。
4. 治疗方式与过程
1、切口及周围部位消毒。
2、局部麻醉(一般为皮下肿胀麻醉)。
3、按设计切口位置切开皮肤。
4、将金属管置入颈阔肌浅层脂肪内进行脂肪抽吸。
5、吸毕,从切口处挤出剩余的麻醉液。
6、一般切口不必缝合即可加压包扎。
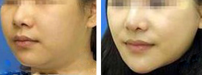
5. 治疗效果
去除了双下巴,使面颈部、轮廓规则。

6. 并发症
1、周围神经损伤:抽吸的深度可能导致神经损伤。
2、皮肤表面凹凸不平:抽吸过程中有可能发生抽吸不均的现象,一旦发生应及时告知医生。
3、效果不理想:抽吸过程中有可能造成抽吸量过少导致效果不理想;或抽吸量过多,导致皮肤与皮下组织粘连,影响美观。
7. 康复与护理
1、术后近期不能吃刺激性食物。
2、术后早期应进行轻度活动。
3、术后3-5天不能沐浴,以免污染伤口。
4、遵照医生交代的注意事项。
8. 风险以及预防
感染:在操作过程中要严格执行无菌操作原则,避免感染。
9. 生理以及美学
年轻富有活力的面部轮廓有两条明显的弧线,其中一条即下颌线,它是两侧乳突之间形成的弧线,在颈部上下移行处形成一个境界分明而圆滑的分界线。年轻的面部脂肪,包括饱满的颊外侧区、颏下区等均应该处于一种动态的美学平衡,而下颌颈处的脂肪堆积则打破了平衡,使面颈部变得轮廓不规则,给人一种肌肤老化,丧失活力之感。
10. 器材和材料
吸脂针:用于吸取脂肪。
注水针:用于吸脂前注射麻醉肿胀液。
软管:用于连接吸脂机器与吸脂针或注水针。
注射器:用于注射麻醉药品或其他药液。
手术刀:用于手术切口及修剪皮肤及软组织。
弯盘:用于术中置物。
量杯:用于术中量取盛装液体。
剪刀:用于修剪组织或剪线。
针线:用于固定及皮肤缝合。